엔젤스피부과의원 대표: 배진호 주소: 경기도 고양시 덕양구 꽃마을로 4, 퍼스트타워 4층 408호 대표전화: 02-2138-3348 팩스: 02-2138-3348 사업자등록번호: 503-32-92179
Copyright ⓒ 2025 엔젤스피부과. ALL RIGHTS RESERVED.
0%
Angels Dermatology
색소 치료 후기
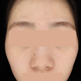
피코레이저 + Erbium Laser + 헐리우드 토닝
피코레이저 색소치료
프리미엄 듀얼토닝
팔자필러 후기
팔자필러
여드름 치료 후기
골드PTT + 스케일링
듀얼악센토(755nm) + 헐리우드 토닝
골드PTT + 포텐자 치료전후
기미, 잡티 치료후기
프리미엄 토닝 5회 치료전후
비용&상담 문의하기
문의
02. 2138. 3348
오시는 길
스타벅스 건물 4층
경기도 고양시 덕양구 꽃마을로 4퍼스트 타워 4층 408호
지도보기 ➞
진료시간
평 일
AM 09:30 ~ PM 07:00
토 요 일
AM 09:30 ~ PM 03:00
점심시간
PM 01:00 ~ PM 02:00
※ 토요일 점심시간 없이 진료
※ 매주 일요일, 공휴일 휴무
닫기